Грушевые деревья дают вкусные и ценные десертные фрукты, слегка сладковатые на вкус. К сожалению, эта культура довольно нежная и чувствительная к болезнетворным микроорганизмам. В результате деревья часто страдают заболеваниями, особенно грибкового происхождения. Какие болезни груши наиболее распространены и как с ними бороться? В этой статье мы расскажем про вредителей и болезни груши – описание с фотографиями, способы лечения, диагностики (как определить заболевание по симптомам) и профилактики.
Выращивать груши не так уж сложно, ухоженные деревья обильно плодоносят, дают большое количество вкусных фруктов. Однако в зависимости от сорта они в разной степени подвержены болезням. За деревьями нужно следить, чтобы вовремя увидеть проблему, диагностировать тип болезни и быстро начать бороться с ней.
Самые распространенные заболевания груш – грибковые.
Грибковые и бактериальные заболевания — описание и фотографии
Часто груши поражаются различными грибами, развитию которых способствуют погодные условия и пренебрежение агротехническими мероприятиями.
Септориоз (белая пятнистость)
Груша в более влажные годы иногда страдает от белой пятнистости. Это болезнь листьев груши, на плодах проявляется редко. Бурые или беловатые пятна появляются весной и со временем образуют большие некротические поверхности. Пятнышки на грушевых листочках сначала маленькие, светло-коричневые, затем становятся серыми и белыми (до 5 миллиметров в диаметре). При сильном заражении листья преждевременно опадают.

Пораженные листья удаляют, и борются так же, как с паршой. Опрыскивание проводят до и во время цветения. Лучше использовать препараты с хлорокисью меди (Медян, Хом).
Профилактические обработки играют важную роль в защите груши от белой пятнистости. Важно аккуратно обрезать и осветлять кроны деревьев, уничтожать источники заражения – опавшие листья.
Плодовая гниль (монилиоз)
Эту гниль вызывают грибы (Monilia fructigena и M. laxa). Эти грибы зимуют на больных побегах и в засохших больных плодах, оставшихся на дереве или опавших. Весной конидии грибков разносятся ветром, насекомыми, дождем. Грибы заражают цветочные почки, молодые побеги, плоды.
Относительно легко распознать это заболевание.
Симптомы:
- На плодах появляются гнилостные бурые коричневые пятна. Пятно быстро растет, на нем появляются концентрические небольшие светло-бежевые споры.
- При низкой или высокой температуре воздуха плоды быстро мумифицируются, в таком виде висят на дереве или опадают, служат источником распространения болезни.

Инфекции способствуют любые повреждения, полученные во время града, сильного дождя, птицами, насекомыми (плодожоркой). Также воротами для инфекции могут стать трещины от парши. Потери урожая при монилиозе достигают 50-70%.
При сопутствующей погоде (температура 24-27 °С), высокой влажности грибы в зараженных растениях быстро развиваются.
Рекомендуемые процедуры:
- Чтобы остановить распространение этой болезни, следует внимательно осмотреть грушевые деревья, заметив изменения – удалить и сжечь зараженные побеги и оставшиеся мумии плодов.
- Часто такого способа недостаточно, и приходится обращаться к химическим опрыскиваниям. Рекомендуется опрыскивание деревьев в фазе набухания почек медьсодержащим фунгицидом (Хом, Медян, бордоская жидкость). Если бутоны были заражены уже в предыдущем году, следует применить предупредительное опрыскивание в начале цветения препаратом Топсин или Рубиган (Topsin M, Rubigan 12 EC).
- Следует помнить, что опрыскивания против парши, проводимые в начале вегетационного периода, также борются с плодовой коричневой гнилью.
Важно! При использовании химических веществ, строго соблюдайте указанные правила на этикетке средства. Соблюдайте период профилактики для животных, насекомых (пчел), сроки ожидания до употребления плодов и сроки проведения опрыскиваний.
Парша
Это распространенная болезнь яблонь и груш, довольно сильно снижает урожайность, товарные качества плодов.

Симптомы:
- Ранней весной на нижней стороне листьев появляются округлые чернеющие пятна или полосы, расположенные вдоль главных прожилок. Пятна покрыты бархатистым оливковым налетом. При большом поражении листьев дерево сильно страдает, урожай снижается.
- Поражаются также черешки листьев и плодоножки (хвостики груши), в результате завязь, листья и плоды опадают.
- На плодах также появляются бархатистые пятна.
- Созревающие груши деформируются, кожица на пятнах лопается, плоды становятся твердыми. Пораженные болезнью плоды груши плохо хранятся.
- Парша на побегах проявляется во вздувшейся коре, пораженные побеги отмирают.

Возбудитель болезни зимует в опавших листьях. Весной в дождливую погоду начинается прорастание спор.
Меры борьбы:
- Опавшие листья нужно сгребать и уничтожать, грунт в приствольном круге перекапывать.
- Почву в приствольном круге осенью можно обработать 6% раствором мочевины.
- Для борьбы с паршой груши рекомендуются додиновые и стробилуриновые фунгициды – Силлит 65 СП, Карпен 65 СП. Не используйте их более 2 раз в год, что создает проблему для склонных к парше сортов, которые требуют 6-10 процедур в сезон. Эти деревья можно опрыскивать средствами Каптан 50 СП, Хорус 50 ВДГ, Луна 300 КС (Пириметанил) и Малвин 80 ВДГ и Мерпан 80 ВДГ. Первую обработку проводим при растрескивании почек, последнюю – в фазе опадения лепестков.
Лечение парши ограничивает риск плодовой гнили и ржавчины груши.
Ржавчина
Ржавчина груши – заболевание, вызываемое грибком Gymnosporangium sabinae. Жертвами грибка в первую очередь становятся листья, но в состоянии сильной инвазии повреждаются также плоды. Главный признак болезни – оранжевые пятна на листьях груши, похожие на ржавчину, в результате чего так и назвали это заболевание.
Симптомы ржавчины груши очевидны, их легко распознать:
- Первые симптомы естественным образом обнаруживаются на листьях. На начальном этапе ржавчина проявляется в виде пятен разного размера яркого желто-оранжевого и оранжевого цветов. Развитие грибка происходит в основном на молодых листьях.
- Затем пятна становятся красными с темными утолщающимися точками. Пораженный участок становится более выпуклым, появляются бугорки, шероховатые на ощупь. Пупырышки высыхают, что приводит к преждевременному опаданию листьев.
- Следующий этап развития болезни приходится на летний период (август). На нижней стороне листьев появляются желтоватые образования, представляющие собой скопление спор. Отростки небольшие – 1 мм в диаметре, высота – до 5 мм. Для этой стадии развития болезни характерны светло-коричневые споры, выходящие из наростов.
- В крайних случаях заражения симптомы могут проявляться на плодах. Плоды покрываются круглыми коричневыми, шершавыми на ощупь пятнами. Иногда изменения можно увидеть на черешках, побегах. Они проявляются аналогично изменениям на нижней стороне листьев – выступающими спорами.

Развитие болезни
Источником заражения являются расположенные поблизости зараженные можжевельники, которые являются основным хозяином возбудителя (груша – промежуточный хозяин). На ветках можжевельников образуются скопления спор, проявляющиеся аналогично нижней стороне листьев – образования конической формы, длиной несколько миллиметров.

В апреле споры можжевельника приводят к заражению листьев груши. Редко случается, что возбудитель зимует на грушевых листьях или побегах. Поэтому нужно сгребать опавшие листья, что также является профилактическим средством в случае опасности возникновения парши груши.
Использование опрыскивания особенно оправдано в связи с тем, что споры передаются даже от далеких можжевельников, на кусты которых мы не имеем никакого влияния.
Профилактика и лечение ржавчины
Заражению груши благоприятствует близость можжевельника, особенно его виргинских, китайских сортов, поскольку он является хозяином ржавчины, на нем зимует гриб. В профилактических целях нельзя сажать можжевельник возле груши.
Для борьбы с ржавчиной используются препараты от парши груши. Когда деревья находятся в стадии распускания почек и начинают появляться зеленые шишки, опрыскиваем первый раз. Используем следующие фунгициды:
- Додин или стробилурин содержащие;
- Медьсодержащие – Хом, Хорус, Медян.
Период опрыскивания – от начала вегетации до конца цветения и, при необходимости, также после последней фазы.
Частота опрыскивания:
- для чувствительных сортов количество опрыскиваний должно быть 7-10;
- устойчивые сорта следует опрыскивать 3-5 раз;
- рекомендуемая начальная частота опрыскиваний – каждые 5-10 дней с момента перехода деревьев в фазу вегетации до конца периода цветения и, возможно, каждые 10-14 дней после его окончания.
Рекомендуемые препараты:
- Силлит 65 СП;
- Карпен 65 СП;
- Полирам 70 ДФ;
- Луна 300 КС;
- Каптан 50 СП.
Для профилактики ржавчины груши необходимо провести опрыскивание близлежащих можжевельников, с которых одновременно следует обрезать зараженные побеги. В случае массового заболевания можно использовать опрыскивание триазолом и манкоцебсодержащими средствами.
Бурая пятнистость (буроватость)
Заболевание вызывается паразитическим грибком Diplocarpon soraueri из класса аскомицетов отряда Helotidae. Хозяева гриба – груша, айва. Заболевание распространено во всех районах выращивания груш.
Симптомы:
- В мае на молодых листьях появляются маленькие круглые пятна, сначала нежные, блестящие, светло-коричневые. Пятна сначала видны на верхней стороне листьев, затем на нижней.
- В июне резко возрастает степень тяжести заболевания, а в условиях влажного лета, начиная с июля, грибок может уничтожить практически все листья. В центральной части пятен появляются черные пластинчатые наросты, представляющие собой скопления грибковых спор.
- Первоначально правильные круглые пятна увеличиваются в размерах. Сильно зараженные листья опадают.
- На плодах появляются небольшие углубленные пятна.
- На зеленой, верхней части побегов сначала образуются темно-коричневые пятна, затем темные возвышенности.

Источником болезни являются инфицированные опавшие листья, на которых образуются чашевидные плодовые тела гриба. В плодовых телах образуются многочисленные мешочки, в которых споры созревают весной, во время развития первых листьев груши.
Как лечить бурую пятнистость груши:
Так как возбудитель зимует в опавших листьях, их следует тщательно сгребать, сжигать, приствольные круги обязательно перекапывать.
Для профилактики груши опрыскивают бордоской жидкостью (1%) 4-5 раз или хлорокисью меди (0,5%), купроксатом. Первое опрыскивание проводят в мае, потом через 1-3 недели повторяют.
Черный рак (Антонов огонь)
Это опасная болезнь, вызываемая грибком Sphaeeropsis malorum.
Симптомы:
- Конидии грибка обычно поражают ветви, плоды, штамбы, листья – реже.
- Первые симптомы заболевания: бурые, отмирающие цветы, тычинки, лепестки, пестики чернеют, сморщиваются. Из зараженных зачатков плодов развиваются бурые, сморщенные груши.
- Старые ветви покрываются некротическими пятнами, однолетние побеги изгибаются, коричневеют.
- На листьях можно заметить красновато-коричневые пятна лопастной формы. По центру пятен имеется серое пятно.
- На плодах появляются бурые пятна, кожица покрывается черными точками. Затем весь плод чернеет, морщится, почерневшие плоды груши опадают.
- Рак коры груши проявляется так: на границе зоны поражения образуются трещины коры, из трещин видны черные бугорки. Затем кора отпадает, под ней виднеется черная древесина.
- При поражении штамба дерево через 3-4 года погибает.

Грибок проникает в дерево через устьица цветов и пораженные механически части растения (трещины от мороза, солнечные ожоги коры, повреждения градом, насекомыми, клещами, через пятна парши).
Меры профилактики:
- Для предотвращения морозобойных трещин деревья белят известью с добавлением медного купороса 1%.
- Из сада удаляют больные растения, листья и падалицу убирают, перекапывают приствольные круги.
- Опрыскивание в период вегетации 1% бордоской жидкостью.
- Важно систематически вести борьбу с вредителями.
Ликвидация с очагов развития болезни, если удаление зараженного растения нецелесообразно. Меры борьбы с ними включают 2 способа – с зачисткой коры и без:
- Без зачистки коры – раны лечат эмульсией из 20% нафтената меди в керосине с добавлениям 20% канифоли и 0,05% альфанафтилуксусной кислоты.
- С зачисткой – раны зачищают, обрабатывают 3% раствором медного купороса. Затем обрабатывают нигроловой замазкой.
Лечение ран проводят ранней весной, до начала развития грибка.
Корневой рак (зобоватость)
Бактерия Agrobacterium tumefaciens (относится к почвенным грамотрицательным палочковидным фитопатогенным бактериям) вызывает заболевание растений, называемое зобоватостью корней или корневой рак. Поражает растения, проникая в поврежденные ткани. Болеют виноград, яблони, груши и много других растений. Заражение происходит только при повреждении корней во время посадки, культивирования или во время роста.
Бактерия интегрирует в растительные клетки фрагмент ДНК, отвечающий за выработку гормонов роста – ауксинов и цитокининов. Они вызывают неконтролируемое деление клеток и быстрый рост опухоли. Наросты на корнях и корневой шейке препятствуют переносу воды и питательных веществ, что влияет на рост растений.

Следует избегать повреждения корней во время процедур по уходу. Обрезанные корни и инструменты следует обрабатывать, дезинфицировать. Болезнь сильно прогрессирует на тяжелых, влажных почвах. Очень важно покупать здоровый посадочный материал.
Профилактическим средством против бугристости являются препараты содержащие штамм бактерий Agrobacterium radiobacter, видовой антагонист A. tumefaciens. Он не борется с заболеванием, но эффективно предотвращает его развитие. Применение препарата заключается в замачивании растений на срок не менее 5 минут в растворе, содержащем бактерии. Подготовленные таким образом растения нельзя больше обрезать, их следует высаживать как можно скорее.
Фосфорные и калийные удобрения повышают устойчивость груши к раку корней.
Бактериальный ожог
Если большинство описанных выше болезней были вызваны грибами, то эта, как и предыдущая обусловлена фитопатогенной бактерией.
Бактериальный ожог груши, вызванный бактерией Erwinia amylovora – одно из самых опасных заболеваний плодовых деревьев.
Приобретая саженцы груши, среди множества сортов, лучше выбрать наименее подверженные бактериальному ожогу. При этой болезни груши чернеют, листья и плоды покрываются черными пятнами.

Симптомы:
- На цветах. Первые симптомы появляются на цветках, которые сначала выглядят так, будто пропитаны водой. Цветки сморщиваются, буреют и со временем отмирают, но сохраняются на растении.

- На листьях между жилками появляются коричневые пятна. Со временем пятна покрывают все большую площадь листа, пораженный лист скручивается внутрь по главной жилке.

- На побегах. Бактерия может постепенно перемещаться по сосудам к побегам. Пораженные побеги чернеют, отмирают, их кончики изгибаются, приобретая характерную форму, напоминающую посох.
- На плодах груши появляются черные и коричневые пятна. Плоды отмирают и остаются на побегах в виде мумий.

- На коре симптом болезни – припухшие, увлажненные пятна, под которыми кора разрушается. При благоприятных условиях может появиться слизистая бактериальная течь в виде капелек или нитей из инфицированных частей растений.
Профилактика и контроль
Одиночные зараженные ветви можно обрезать, но обязательно с «запасом», то есть примерно на 0,5 м ниже явно пораженной, различимой ткани. Больные ветви следует сжечь.
Каждые 7-10 дней следует проверять растения на наличие симптомов болезни, чтобы быстро отреагировать при возникновении инфекции.
Как обработать грушу от болезни. Защитные процедуры с препаратами меди (Хом, Бордоская жидкость и ее заменители) в первую очередь направлены на профилактику. Первые обработки проводят в период цветения, следующие – в период роста плодов.
Бактерии проникают через естественные отверстия растений: пестики, устьица и через механические повреждения. Бактерии могут переноситься ветром, насекомыми.
Мучнистая роса
На грушевых деревьях заболевание встречается очень редко. Возбудитель мучнистой росы на груше – гриб Podosphaera leucotricha. Симптомы:
- Зараженные бутоны отмирают, цветы и листья не развиваются.
- Мучнистая роса проявляется в виде белого порошкообразного налета на листьях и других органах растений, который через некоторое время становится серым. На налете есть крошечные черные пятна – споры.
- Побеги, пораженные мучнистой росой, перестают расти.
- Листья постепенно покрываются налетом, покрывающим обе стороны. Подобные симптомы появляются на цветах. Сильно зараженные листья и цветы деформируются, отмирают, преждевременно опадают.
- На кожуре плода можно наблюдать шелушащиеся пятна или сеточку.

Профилактика и контроль: в небольших садах можно предусмотрительно удалять зараженные побеги, если их количество на одном дереве не слишком велико. При появлении первых симптомов воспользуйтесь средствами от мучнистой росы, например, Топаз КЭ.
Первые обработки проводят в фазе розовой почки, если заболевание уже началось. Последнее опрыскивание проводится во второй половине лета, если болезнь не исчезла.
Вирусные болезни
Вирусные заболевания груш — пожелтение жилок груши, кольцевая мозаика, каменистость плода, как правило, имеют низкую вредоносность и не представляют серьезной угрозы. Наблюдение за ними ограничивается отсутствием средств защиты растений.
Пожелтение жилок
Виновником пожелтения жилок листьев грушевого дерева является пептический вирус яблони (ASPV). Первые симптомы проявляются на листьях в середине мая – светло-желтые пятна вдоль жилок листа. В конце лета на листьях чувствительных сортов наблюдаются красно-коричневые пятна.
Вирус распространяется с инфицированным материалом из питомников – привоями или подвоями.
Фото. Пожелтение жилок листьев груши, вызванное ASPV

Кольцевая мозаика
Симптомы болезни кольцевая мозаика проявляются на листьях в виде светло-зеленых, затем желто-зеленых неправильных колец. Деформации листьев и коричнево-ржавые кольца на плодах груши видны у восприимчивых сортов. Плоды груши пораженной мозаичностью меньше окрашены. Вирус ACLSV подавляет рост деревьев, снижает их устойчивость к замерзанию в зимние месяцы, снижает урожайность.

Каменистость плода
В зависимости от сорта признаки болезни вызываемой вирусом каменистости груши проявляются в разное время вегетации:
- Самые ранние симптомы можно наблюдать примерно через 2-3 недели после цветения деревьев – ткань молодых плодов разрушается, кожура и мякоть становятся темно-зелеными.
- Затем по мере дальнейшего роста плод деформируется, в мякоти появляются твердые скопления каменных клеток и пробковой ткани. Такие груши нельзя продавать и есть.

Деревья, зараженные вирусом, более подвержены замерзанию зимой. Возбудитель передается вместе с больным питомниковым материалом – черенками, подвоями. Симптомы каменистости груши часто можно спутать с признаками дефицита бора.
Фитоплазмоз
Груши болеют фитоплазмозом, гораздо более опасным для грушевых садов.
Виновник – фитоплазма груши Candidatus Phytoplasma pyri – опасный патоген, который из-за своей вредоносности классифицируется как карантинный организм.
Заболевание встречается в большинстве европейских стран и представляет собой серьезную проблему, особенно в регионах с сухим теплым климатом.
Фитоплазмы размножаются преимущественно в проводящих сосудах больных растений, что вызывает нарушение проводимости воды и питательных веществ. В случае недостаточной влажности почвы и продолжительной жары, пораженные фитоплазмой груши могут увядать, погибать. Происходит медленное или быстрое увядание деревьев. Медленная форма болезни более легкая и проявляется в торможении роста деревьев, плохом росте однолетних побегов, снижении урожайности плодов. Листья у зараженных деревьев мелкие, со слегка загнутыми краями, светло-зеленые (фото1), но в конце лета или в начале осени становятся красными (фото 2).
Фото. Симптомы, вызванные фитоплазмой

Для легкого течения болезни характерно прогрессирующее ослабление деревьев, их плохой рост и снижение урожайности. Часто на зараженных деревьях появляются ветви с зелеными листьями и ветки с уже обесцвеченными листьями.

Больные груши могут вегетировать много лет, иногда кажется, что деревья восстанавливаются.
Более опасной формой заболевания является быстрое, в течение нескольких недель или даже дней, отмирание деревьев (см. фото), которое обычно происходит в условиях продолжительной жары и засухи и часто предшествует более легкой форме заболевания.

Вредители
К сожалению, кроме многочисленных болезней, встречаются и вредители груши, наносящие деревьям серьезный ущерб и способствующие распространению и развитию заболеваний.
Грушевый цветоед
Личинки грушевого цветоеда (Anthonomus piri) уничтожают зимующие почки груши, а иногда и плодушки (короткие плодовые веточки), приводя к снижению интенсивности цветения и плодоношения.
Внешний вид вредителя: жук с характерной длинной мордой, на конце которой имеется мундштук и усики. Жуки длиной 4 мм, темно-коричневой окраски. Личинки безногие, кремово-белого цвета, голова темная.

После окончания питания в конце апреля — начале мая личинка окукливается в бутоне. Темно-коричневые жуки с характерными длинными рыльцами оставляют почки обычно в начале мая. В конце мая взрослые жуки впадают в летнюю диапаузу (сон). Просыпаются в конце сентября и едят почки. Осенью самки откладывают яйца в выеденную ямку, а затем покрывают ее секретом, образующим суппозиторий. Яйца впадают в спячку до следующего сезона.
Симптомы появления цветоеда на груше:
- Личинки вылупляются из перезимовавших яиц в почах на рубеже февраля – марта, питаются почками. В результате цветы не развиваются, поврежденные засыхающие почки груши опадают. При большом заражении вредителем грушевое дерево может вообще не цвести.
- При большом количестве поврежденных почек растение весной может показаться подмерзшим.
- Личинка может прогрызть побег изнутри, в результате он отмирает.

В садах можно ограничить борьбу с цветоедом, удалив высохшие почки в апреле. Если в прошлом году ущерб, нанесенный личинками, был значительным, то непосредственно перед распусканием почек или в фазе зеленой почки проводят опрыскивание средством Калипсо 480 КС или препаратами на основе лямбда-цигалотрина: Молния КЭ, Кунгфу КЭ, Карачар КЭ.
Грушевая медяница (листоблошка)
Грушевая медяница или грушевая листоблошка (Cacopsylla pyri). Желтые овальные личинки этих мух питаются молодыми листьями. Признаком появления вредителя является то, что скручиваются и сохнут листья на груше. Вредители переносят опасное фитоплазматическое заболевание – отмирание груши.

Как бороться с медяницей грушевой
Наблюдения, направленные на обнаружение медяницы, проводят несколько раз за сезон, в течение вегетационного периода выходит до трех поколений мух.
- Срок первой проверки приходится на февраль, март, начало апреля, после первого длительного потепления. Если вредитель обнаружен в достаточном количестве, делают первое опрыскивание еще до появления листьев, не позднее начала апреля препаратами:
- Каратэ Зеон МКС;
- Инта-Вир, TAБ;
- Биокилл КЭ.
Через 7 дней проводят очередную проверку, чтобы выяснить, устойчивы ли медяницы к инсектицидам.
- Второй раз рассматривают ветки груши прямо перед цветением. Если яйца или личинки медяницы мы находим на более чем 5 побегах в образце 50 деревьев, опрыскивают сад средством Герольд ВСК или Бусидо ВДГ. С середины апреля до середины мая развешивают на деревьях липкие карточки для обнаружения вредителя – молодые груши находятся под угрозой, если за 15 дней найдем 3 вредителя. В старых садах боремся только с крупными поражениями.
- Последний раз обследование проводят после окончания цветения, в середине мая. Если в пробе 100 деревьев поврежденных побегов 5-10%, проводим опрыскивание инсектицидами: Герольд ВСК, Димилин CП или Бусидо ВДГ.
Внимание! Нужно избегать использования неселективных средств, особенно пиретроидов, вредных для полезных насекомых – популяцию медяницы наиболее эффективно ограничивают ее естественные враги.
Тля
На груше встречается несколько видов тли:
- Тлягрушево-злаковая (бурая) (Longiungius pyrarius);
- Зеленая грушево-зонтичная тля (Anuraphis pyrilaseri);
- Мать-и-мачеховая (Anuraphis farfarae);
- Яблонно-подорожниковая тля (Dysaphis plantaginea).

Внешний вид вредителя: Это небольшое насекомое размером 2-4 мм. Существует множество видов тлей, цвет которых может варьировать от зеленого до желтого. Отличительной чертой тлей являются характерные два придатка на конце брюшка – сифоны. Личинки тли бескрылые, взрослые особи имеют 2 пары крыльев.
Насекомое питается разными частями грушевого дерева.
Симптомы появления тли:
- Некоторые виды тлей появляются на бутонах и цветках сразу после начала вегетации.
- Позже тля появляется на листьях и стеблях молодых приростов.
- Насекомые повреждают листья, высасывая из них сок, деформируют лист, иногда он меняет окраску до карминного цвета.
- Листья часто скручиваются к нижней части, из-за чего насекомых трудно увидеть.
- В конце весны и летом тля может появиться на корневой поросли.
Тли живут колониями в сотни особей. Всасывая клеточный сок, они ослабляют растения, что приводит к потере урожая. Тля выделяет липкую росу – падь, на которой развиваются черные грибы.
Профилактика и контроль:
- Частично сокращение популяции возможно путем обрезания и удаления побегов с колониями тли.
- Также нужно удалять сорняки, вырезать корневую поросль, волчки.
- При обнаружении первой тли опрыскивают кроны, штамбы и почву вокруг ствола подходящим средством защиты растений (пиретроиды, фосфорорганические соединения). Также можно опрыскать грушу биологическими пестицидами.
В этой статье можно подробнее изучить различные способы борьбы с тлей на участке – kak-izbavitsya-ot-tli
Интересные факты: сладкая медяная роса (падь), выделяемая тлями, является привлекательной пищей для муравьев. Поэтому иногда в компании тлей появляются муравьи, заботящиеся о тлях, отпугивая их врагов. Борясь с тлей, нужно избавиться и от муравьев.
Тля переносит вирусные заболевания от других больных растений, поэтому с ней необходимо вовремя бороться.
Яблонная плодожорка и листовертки
Это еще 2 опасных вредителя груши.
Фото. Гусеницы плодожорки питаются внутри плодов

Фото. Гусеницы листовертки грызут отверстия в листовых пластинках

В течение 1 вегетационного периода выходит 2 поколения этих вредителей, поэтому с мая по август в больших садах развешивают феромонные ловушки для обнаружения прилета бабочек.
Если насекомых выявлено много проводят опрыскивания препаратами:
- Калипсо КС;
- Моспилан РП.
Еще раз опрыскивают груши в фазе развития яиц «черная головка», используя препараты:
- Инта-Вир TAБ;
- Каратэ Зеон МКС.
В период вылупления личинок листовертки грушу опрыскивают препаратом Авант КЭ.
Грушевая плодовая галлица
Это небольшая, похожая на комара муха, грушевая плодовая галлица (Contarinia pyrivora) откладывает яйца в цветочных бутонах. Личинки питаются в зачатках плодов, заставляя их набухать, а затем чернеть и опадать. Если в прошлом году вредитель уничтожил не менее 10% урожая, то в текущем году, в фазе зеленой почки проводят опрыскивание средством Калипсо СК.

Галлица грушевая листовая
Личинки маленькой коричнево-черной мухи – галлицы грушевой листовой (Dasyneura pyri Bouche.) вызывают скручивание листьев. Побеги со следами ее кормления удаляем, после цветения применяем однократное опрыскивание препаратом Мовенто КС.

Паутинные клещи
Появление на груше паутинных клещей проявляется наличием многочисленных желтых пятен вдоль основных прожилок листьев, а затем и по всей поверхности листовых пластинок. Повреждения, нанесенные клещами, препятствуют росту деревьев и их плодоношению. С паутинными клещами борются средством Ортус СК, применяя одно опрыскивание в сезон.

Грушевый зудень или клещ грушевый листовой
Клещ грушевый зудень (Epitrimerus piri) поражает почки и листья. Почки груши набухают, листья, которые растут из них, покрываются желтоватыми волдырями. Листовые пластинки могут изгибаться и ржавеют снизу. При появлении вредителя деревья опрыскивают с использованием акарицидов (Ортус СК) или фосфорорганических инсектицидов (менее эффективно). Первое опрыскивание проводят в фазе розовых почек примерно за 2-3 дня до цветения. Следующее опрыскивание проводится после цветения, в случае большого количества клещей – повторяют в начале июля.

Вишневый слизистый пилильщик
Еще один вредитель груши – вишневый слизистый пилильщик (Caliroa limacina). Его личинки, похожие на слизней без кожи, скелетируют листья. Первое поколение вредителей выходит в начале июня, второе – в конце июля – начале августа. Для борьбы используют Каратэ Зеон МКС.

Красная грушевая листоблошка
Раннее обнаружение вредителя важно для защиты растений, с апреля следует внимательно наблюдать за листьями, побегами и цветками на предмет наличия взрослых особей и яиц. Насекомое грушевая листоблошка (Cacopsylla pyrisuga) длиной 4,5 мм. Крылья прозрачные. Весной тело окрашено в коричнево-красный цвет, летом – оранжевое. На голове короткие усики.

Яйца – удлиненные, размером 0,3 × 0,15 мм, желтые, заканчиваются отростком, который прикрепляет их к листьям. Личинки – желтого цвета, сначала плоские, затем становятся выпуклыми и темнеют.

С апреля самки начинают откладывать яйца на листья, побеги, цветоносы. Яйца откладываются ниткой вдоль главной прожилки. Самка протыкает ткань листа и откладывает в щель яйцо. Через 14 дней вылупляются личинки, которые месяц высасывают сок из тканей молодых побегов, цветочных почек, листьев и плодовых почек. Это ослабляет растения, что особенно опасно для саженцев, молодых деревьев и в периоды засухи. Может подавляться рост побегов, возникает их усыхание.

Насекомое производить падь, покрывающую листья. На ней развиваются грибы, листовые пластинки могут деформироваться, скручиваться.
В настоящее время используют 2 активных вещества для борьбы с грушевой листоблошкой: ацетамиприд (препарат – Моспилан РП) и дельтаметрин (Децис Эксперт КЭ). Количество обработок за сезон обычно составляет 1-2. Обработку следует проводить после появления вредителя, обычно от стадии первого листа до начала фазы развития плода. Эти меры ограничивают вредоносность взрослых особей и личинок первого поколения.
Экологический способ борьбы – каолиновая глина. Ее смешивают с водой и опрыскивают ранней весной с момента набухания почек до начала цветения. Глина заставляет листья тускнеть, и летающие особи меньше интересуются ими. Так как глина смывается после выпадения оседков, после дождя процедуры необходимо повторять.
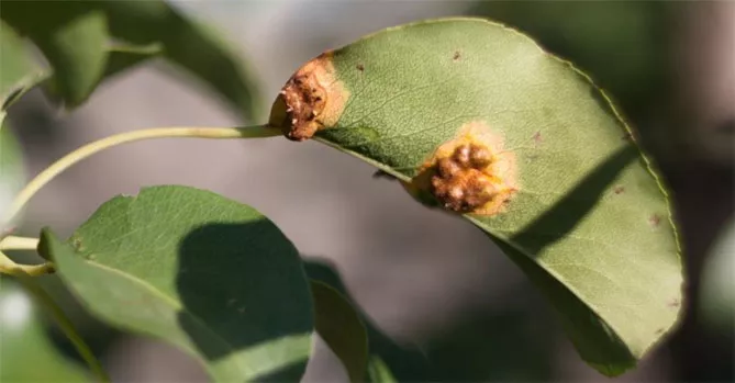
Грушевый галловый клещ
Грушевый галловый клещ (Eriophyes piri) длиной 0,2 мм, задняя часть тела разделена на 80 колец. Зимуют самки в почках груши, где в конце марта начинают откладывать яйца. Затем покидают поврежденные бутоны и переходят к листьям.
Симптомы:
- сильное набухание и задержка развития почек на 2-3 недели;
- появляются на листьях груши желтые наросты, которые затем становятся коричневыми.

Контроль следует проводить в молодых садах с использованием современных акарицидов (например, Ортус СК, Ниссоран СК) или фосфорорганических пестицидов. Первое опрыскивание проводят в фазе розовых почек, за 2-3 дня до цветения. Следующее опрыскивание проводится после цветения, а в случае большого количества вредителя – также в начале июля.